Plot, Lampson Road, Killearn, G63 9PD

Killearn, G63 9PD
New
Pin View on map

Property Description

  • Building Plot with planning consent
  • Approval for a single Detached House
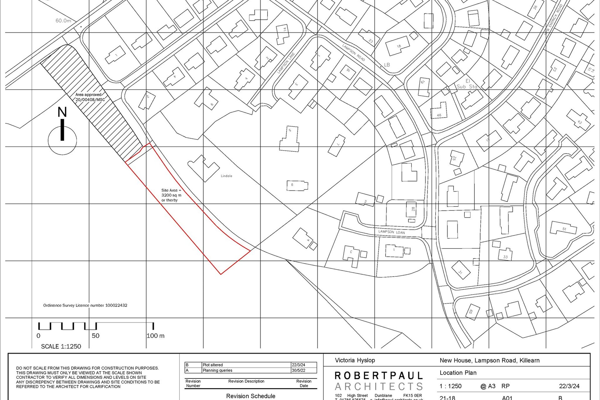
  • Site of approx. 0.8 acre, including area of woodland
  • Bordering fields with fine south and southwest views
  • On the southwest edge of Killearn village yet handy for centre
  • Stirlingshire Planning Reference: 22/00344/MSC
  • Services adjacent, on Lampson Road, with electricity adjacent to site
  • Rare and exciting opportunity to build your own home

Building plots are rare to come by and certainly the case in the delightful Stirlingshire village of Killearn, a very picturesque and affluent village some seventeen miles north of Glasgow city centre and only nine miles north of Milngavie suburb. Set at the foothills of the Fintry Hills, it is just beyond the southeastern fringe of The Loch Lomond and Trossachs National Park and as such, is surrounded by wonderful countryside.

The Plot

The plot is at the hammerhead cul-de-sac of the eastern end of Lampson Road, fringing fields to the south and southwest. It is a site of approximately 0.8 acre, and it has planning consent for a single Detached House orientated, predominantly, south-westwards. The property, as submitted, extends to some 227 sq m (2,400 sq ft), including its integral double garage, with four bedrooms, living room, generous dining room with open-plan kitchen, utility room, bathroom, ensuite shower room and toilet, together with the integral double garage. The plot is adjacent to 1 & 2 Lampson Road.
Consent was granted by Stirling Council under Planning Reference: 22/00344/MSC in September 2024, after an earlier consent in 2022. Interested parties should visit Stirling Council’s planning portal (www.stirling.gov.uk) click on ‘Planning’ and then click on ‘Planning Portal’ and then enter the above reference into the search box. We have herein site plans and drawings for the house submitted. On request to our office a copy of the title sheet, showing the extent of the plot, can be provided to interested parties. The photographs outlining the plot in red is broadly indicative of the site, for illustrative purposes only. Services (gas, water, drainage) are adjacent to the site, on Lampson Road, with electricity just beyond the southwest corner of the plot, we understand.
Subject to a new application it may be that an alternative house proposal may be considered. Interested parties must satisfy themselves in the regard.

Situation

Killearn is a wonderful village in which to live, with a thriving, and active, community. It has nursery schools (including a Montessori) and a terrific primary. Secondary schooling is in the neighbouring village of Balfron (Balfron High). It has a great village pub with restaurant, beside which is the Town and Country Coffee Shop and across the road The Kitchen Window Restaurant/Café. There is a well-stocked Co-op and beside Killearn’s health Centre, a large chemist. The village’s tennis club, with its three all-weather courts, is in regular use and very well supported. The Killearn Kirk, Church Hall and Village Hall are all hubs of regular activity.

Sat Nav Ref: G63 9pd

What3Words Reference: reflected.successes.postings

Tenure : Freehold

More Details

Situation: Contact branch
Council Tax Band: NA
Tenure: Freehold

Request More Details

Siobhan Cox

Siobhan Cox

Director
Karen Lochead CeMAP

Karen Lochead CeMAP

Mortgage & Protection Advisor
Mortgage Calculator
Monthly payments
Please set an interest rate.

Your home may be repossessed if you do not keep up repayments on your mortgage.

There may be a fee for mortgage advice. The actual amount you pay will depend upon your circumstances. The fee is up to 1% but a typical fee is 0.3% of the amount borrowed.

Tax Calculator
LBTT calculator for properties purchased in Scotland. Stamp Duty calculator for properties purchased in England.
Land & buildings transaction tax (LBTT)
= £0
New build house with stone and timber cladding

Looking To Sell Or Let?

Rettie is one of the most trusted and well-respected names in property. Our unrivalled market knowledge helps people from around the world buy, sell, let and develop property in Scotland and the North East of England - from city apartments and rural cottages to large townhouses and prime country homes, farms and estates. We deal with some of the most prestigious properties on the market, but provide the same exceptional standards of service and value for money to all our clients.